조황관리HOME / 조황관리 / 상세정보

제목 : 6/1 비제이호 조황
등록일 : 2025-06-01




























































6/1 조황일지
출항 5시20분
입항 오후 6시
어김없이 비제이호는 달렸네용~~
색벽 해무가 어찌가 심하던지
해무 상태로 오늘 정말 덥겠다 생각했는데
아니나 다를까 역시나 더운 날씨~~
오전 잠깐의 피딩~~
봄갑이는 역시나 힘듬~~
그래도 심심치 않게 올려주시는 조사님
얼마나 이쁜 얼굴을 보여 주려는지~~
낮에는 고군분투~~
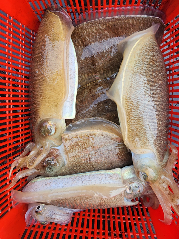
그래도 장원은 8갑~~
꽝두 있으신듯 하구용~~
배 전체37갑~~
두루두루 다들 잡으셨음 했는데
조과차이가 제법 나네용~~^^
오늘도 함께 동출해주신 조사님들 늣은 시간까지
너무 고생 많으셨어요~~
더 좋은 결과물을 위해 울 선장님도 더 열심히
달리 실꺼다네용~~
조황사진 보시고 비제이호 맞이 찾아주셔용~~^^



*** 안면도 비제이호 예약 안내 ***


예약문의 : 010-3008-7884
                  010-4968-2890

오시는길 : 충남 태안군 고남면 고남리 334-81

홈페이지 : http://bj.sunsang24.com/


모바일.gif 

Top